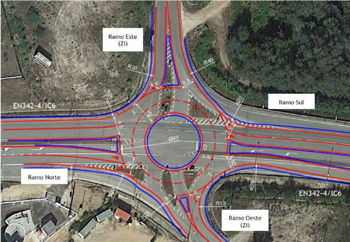
O Município de Arganil contratualizou a elaboração de projecto para a construção de uma nova rotunda na estrada que atravessa a Zona Industrial da Relvinha (EN 342-4), no Sarzedo, substituindo o cruzamento que liga os polos este e oeste desta área de localização empresarial.
“Verificando-se alguns constrangimentos ao nível da circulação rodoviária, entre eles o excesso de velocidade, incitado pelo facto de o cruzamento se encontrar localizado ao cabo de uma recta com 1,5 km de extensão (Coimbra – Arganil), a autarquia decidiu contratar um estudo de tráfego. As conclusões do relatório demonstram que a substituição da intersecção por uma rotunda se apresenta como a solução mais vantajosa e segura”, justifica a autarquia.
“Além de corrigir os constrangimentos actuais, é nosso objectivo impedir que os problemas se venham a intensificar no futuro, com o número de empresas previsivelmente a aumentar após a conclusão da ampliação de que está a ser alvo a área de localização empresarial”, explica o presidente da Câmara Municipal de Arganil, Luís Paulo Costa.
Esta intervenção, segundo a autarquia, surge como complemento ao amplo e avultado trabalho de requalificação e ampliação que o Município de Arganil tem vindo a desenvolver nos últimos três anos neste espaço de actividade económica, localizado “às portas” de Arganil. Em marcha está o processo de expansão do polo oeste, que vai permitir a criação de 23 lotes para acolhimento de novas empresas, concretizando um investimento global de 4,8 milhões de euros.
O Município de Arganil pretende que a área de localização empresarial da Relvinha ofereça as melhores condições de actividade às empresas ali instaladas e a todas as que venham a instalar-se no concelho, aumentando a sua competitividade e promovendo a criação de mais e melhores oportunidades. “A concretização deste desígnio passa por trabalhar, de uma forma concreta e contínua, para solucionar os problemas que se apresentam como um entrave ao normal funcionamento das empresas e, consequentemente, ao progresso deste espaço de actividade económica”, frisa Luís Paulo Costa.
A implementação da rotunda, assegura, vai permitir melhorar as características de circulação rodoviária no local, promover maior fluidez do tráfego na rede viária envolvente, bem como reforçar os níveis de segurança na via. Trata-se de uma via que, pela proximidade ao nó do IC6 e ao IP3, se assume como a principal “porta” de entrada e saída de Arganil, registando um elevado tráfego de veículos, não só ligeiros como pesados.
